El Estado Mayor de la Defensa Civil de Cuba decretó este lunes, 27 de octubre, la fase de alarma en las provincias orientales de la isla, ante la espera del impacto del huracán Melissa, que ya es de categoría 5 y se espera que llegue a territorio cubano el miércoles.
La Defensa Civil indicó en un comunicado que están bajo alarma las provincias del este Guantánamo, Santiago de Cuba, Holguín, Granma, Las Tunas y Camagüey. Además, las regiones centrales de Ciego de Ávila y Sancti Spíritus pasaron a «alerta ciclónica».
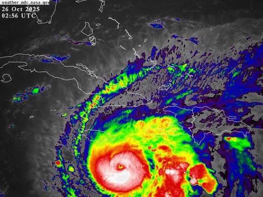
Melissa se desplaza con vientos máximos sostenidos de 260 kilómetros por hora. Se prevé que golpee Jamaica y posteriormente Cuba.
La Defensa Civil cubana exhortó a la población a mantenerse informada sobre el desarrollo del huracán.
Con información Agencias-.
Cuba declara fase de alerta ante próxima llegada del huracán Melissa




